Peziza varia (Hedw.: Fr.) Fr., Syst. mycol. 2: 61 (1822).
Sinonimi: Aleuria varia (Hedw.) Boud. Icon. Mycol. (Paris) 4: 145 (1905).
Aleuria varia var. terrestris (Bres.) Pat. Bull. soc. Hist. nat. Autun 17: 153 (1904).
Aleuria varia (Hedw.) Boud. Icon. Mycol. (Paris) 4: 145 (1905) var. varia
Galactinia varia (Hedw.) Le Gal, Bull. trimest. Soc. mycol. Fr. 78: 210 (1962).
Geopyxis varia (Hedw.) Rehm, in Winter, Rabenh. Krypt. - Fl. Edn 2 (Leipzig) 1.3(lief. 42): 975 (1894) [1896].
Humaria varia (Hedw.) Sacc. Syll. fung. (Abellini) 8: 142 (1889).
Peziza varia (Hedw.) Alb. & Schwein. Consp. fung. (Leipzig): 311 (1805) f. varia
Peziza varia var. pallens Alb. & Schwein. Consp. fung. (Leipzig): 311 (1805).
Peziza varia (Hedw.) Alb. & Schwein. Consp. fung. (Leipzig): 311 (1805) var. varia
Pustularia varia (Hedw.) Sacc. Syll. fung. (Abellini) 8: 71 (1889).
Peziza micropus Pers. Icon. descr. fung. 2: 30, tab. 8.fig. 3 (1800): Fr., Syst. mycol. 2: 54 (1822).
Peziza cerea Fr., Syst. mycol. 2: 52 (1822): Fr., loc. cit.; non P. cerea Bull. Herb. Fr. : tab. 44 (1780).
Posizione sistematica: Pezizaceae, Pezizales, Pezizomycetidae, Pezizomycetes, Pezizomycotina, Ascomycota, Fungi
Descrizione macroscopica della raccolta
Ascomi all’inizio subsferici, poi a forma di coppa, alle volte grossolanamente lobati, infine quasi appiattiti, con breve piede o subsessili.
Superficie imeniale liscia, all’inizio di colore beige, quindi più o meno ocracea, a maturità color nocciola.
Superficie esterna da forforacea a quasi liscia, in gioventù concolore all’imenio, sempre più chiara anche a maturità, bordo intero, crenulato.
Carne “dopo reidratazione”, con strato mediano-basso diversificato.
Odore e sapore non testati.
Descrizione microscopica della raccolta
Spore (13,9) 14,9 - 15,67 - 16,3 (16,7) x (8,3) 9,0 - 9,59 - 10,0 (10,4) µm, Q = (1,4) 1,5 - 1,49 - 1,7 (1,8) µm, Vol. = (550) 658 - 780 – 847 (906) µm³; ellittiche, lisce; prive di guttule in ogni stadio di vita.
Aschi 221 - 280 x 11 - 14 µm, Vol.m = 20995 µm³; contenenti otto spore uniseriate, J+ all’apice, cilindrici, base pleurorinca.
Parafisi: 2,5 - 4,5 µm, di diametro cilindriche, brevemente settate, non ramificate, terminali leggermente allargati con apice spesso 4,0 - 6,0 µm, spesso ingrossate in basso, finemente granulose, ialine.
Imenio spesso all’incirca 280 µm.
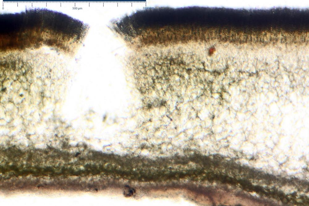
Descrizione degli excipuli
In un esemplare della raccolta, in cui la sezione della carne “comprensiva dell’imenio”, misurava all’incirca 1700 µm, abbiamo riscontrato 5 strati così conformati:
1/ subimenio spesso all’incirca 65 µm, a textura prismatica, composto da cellule subisodiametriche 7,1 - 15,1 x 4,1 - 11,9 µm, Vol.m. =489 µm³; ben differenziato dall'excipulum sottostante.
2/ excipulum medullare superiore spesso all’incirca 850 µm, a textura globulosa angularis, composto da cellule 16,3 - 45,5 x 10,0 - 29,5 µm, Vol.m. = 5052 µm³; verso il centro con tendenza a passare ad una textura globulosa con cellule di maggior taglia 26,5 – 102,0 x 22,5 – 97,0 µm, Vol.m. = 136015 µm³.
3/ excipulum medullare medio spesso all’incirca 140 µm, a textura prismatica composto abbondantissime cellule subisodiametriche 6,5 - 12,5 x 6,5 - 13,0 µm. Vol. = 455 µm³, misto a scarse ife filamentose, piuttosto corte, con diametro 6,53 - 6,50 - 14,2 µm, apparentemente formanti una textura intricata.
4/ excipulum medullare inferiore spesso all’incirca 125 µm, a textura globulosa angularis, formato da grosse cellule subglobulose 20,0 - 53,5 x 18,5 – 46,0 µm, Vol.m. = 20571 µm³.
5/ excipulum ectale spesso all’incirca 240 µm, a textura prismatica, composto da cellule subisodiametriche 3,5 - 8,0 x 3,0 - 6,5 µm, Vol. = 51 µm³.
Peli ifoidi 20,5 - 29,5 x 1,5- 2,5 µm, parzialmente incrostati, ialini.
Osservazioni
Nei nostri precedenti lavori su Peziza cerea Sowerby ex Fr., 1822, e Peziza repanda Wahlenb. 1820, abbiamo cercato, in qualche modo, di evidenziarne le differenze sostanziali tra queste due entità e Peziza varia, senza mai trovare una sostanziale differenza, ma solo poche e labili dissomiglianze. Lo stesso discorso vale anche per Peziza micropus Pers. 1800, taxon simile ai due sopra elencati.
Grazie agli studi molecolari di (Hansen et alt. 2002), sulla diversità filogenetica e morfologica delle Peziza dedotto da sequenze ITS, abbiamo avuto modo di chiarire in qualche modo questo gruppo di taxa.
Sostanzialmente, P. cerea e P. micropus, vengono sinonimizzati con P. varia.
Peziza repanda viene rigettato per i seguenti motivi.
(Excluded: Peziza repanda Pers. Icon. pict. sp. fung. 4: 49 (1808): Fr. Syst. mycol. 2: 51±52 (1822).
Type: No authentic material has been located in the Persoon herbarium in L. A case could be made for selecting the original Persoon plate (loc. cit.: pl. 20, ®g. 2 [bis]) but this would not clarify the status of this name. Persoon described the habitat of P. repanda as` in sylvaticis ad terram'. Fries (loc. cit.) used the name for a species on old trunks, primarily of Fagus, but also included blackened soil [burnt ground] as the substrate. Some authors have followed Persoon in respect to substrate (Dennis 1981, Dissing 2000, Spooner 2001), others Fries (e.g. Seaver 1928), and still others have used the name for a species occurring on soil and only exceptionally on wood (Rifai 1968, Hohmeyer 1986). In all cases the name has been used for a species with smooth spores in the size range given for P. varia. We have not seen material of P. varia on bare soil (without mortar, lime, sawdust, etc.). Since the name lacks a typespecimen and has been used inconsistently it is best treated as of uncertain application).
Materiali e Metodi
Lo studio è stato compiuto su exsiccatum. I preparati sono stati osservati usando come mezzo di governo H2O. Il reagente di Melzer è stato utilizzato per l’accertamento dell'amiloidia degli aschi, il Blu Cotone lattico, a caldo, per evidenziare la loro eventuale ornamentazione, il Rosso Congo Ammoniacale 6% per meglio evidenziare le differenti tipologie cellulari.
Le misure microscopiche sono state eseguite con il software di calcolo Mycométre gentilmente fornitoci dal Sig. Georges Fannechère e prelevabile a questo indirizzo http://mycolim.free.fr. Le misure sporali si riferiscono a 100 unità, possibilmente ottenute da spore libere, scartando spore ancora evidentemente immature, per le rimanenti tipologie cellulari si sono eseguite un minimo di venti misure a tipologia. Le misure sottolineate si riferiscono alle medie. Per quanto riguarda la nomenclatura abbiamo fatto riferimento a http://www.indexfung...names/Names.asp e http://www.mycobank.org/MycoTaxo.aspx .
Per le osservazioni dei caratteri macroscopici, in alcuni casi, ci siamo valsi di uno stereo microscopio Optech trinoculare e del supporto di foto macro ad alta risoluzione. Le foto concernenti la microscopia, sono state eseguite con l’ausilio di una fotocamera Reflex EOS 50D, posto sul terzo occhio del trinoculare di un microscopio biologico Optech Biostar B5, supportato da ottiche Plan-APO, illuminazione alogena 12V-50 W a luce riflessa, con regolatore d'intensità.
Le collezioni d’erbario sono conservate nell'erbario A.M.B. Gruppo di Muggia e del Carso.
Dati relativi alla raccolta
N. scheda: 5327. Data di ritrovamento: 20/02/2014. Località: Teramo. Comune: TERAMO. Coordinate geografiche: 338; III; TERAMO. Altezza s.l.m.: f. 1. Habitat: Su cartone in decomposizione. Legit: de Bruno de Ruvo. Determinatore: Zugna M. Data inserimento in erbario: 10/06/2015.
Bibliografia
Breitenbach, J. & F. Kränzlin -1981. Champignons de Suisse. Tome 1. Les Ascomycètes. Lucerne.
Dennis, R. W. G. -1981. British Ascomycetes. Vaduz, 585 pp. + addenda and corrigenda (avec planches).
Donadini, J. C. -1981. Le genre Peziza dans le Sud-Est de la France, avec clé du genre pour la France. Université de Provence. Marseille, 199 pp. (+ planches).
Doveri F., 2004. Funghi fimicoli Italici. A.M.B. Fondazione Centro Studi Micologici.
Grelet L. J. 1979. Réédition Les discomycètes de France d’aprés la classifications de Boudier.
Hansen, Karen, Thomas Laessoe, and Donald H. Pfister – 2002. Phylogenetic diversity in the core group of Peziza inferred from ITS sequences and morphology. Mycological Research 106, no. 8:879-902.
http://www.indexfungorum.org/Names/Names.asp
Jamoni P.G., 1997. Lo studio del genere Peziza- Funghi e Ambiente 1997.
Le Gal, M.:1947. Recherches sur les ornementations sporales des Discomycètes operculés. Thèse. Ann. Sc. Nat. Bot. 11 (8) : 73-297.
Medardi G.: 2006. A.M.B. Ascomiceti d’Italia p. 199.
Photo by: Bruno de Ruvo


Questa discussione è bloccata
































