Pluteus hiatulus Romagn., Fl. Analyt. Champ. Supér. (Paris): 421 (1953)
Sistematica: Pluteaceae, Agaricales, Agaricomycetidae, Agaricomycetes, Agaricomycotina, Basidiomycota, Fungi
Quadro macroscopico della raccolta
Pileo 9 mm di diametro, all'inizio convesso, quindi piano-convesso, infine piano, privo di umbone. Poco igrofano. Molto finemente forforoso “lente”. Cuticola sottile, non separabile, granuloso-areolata al disco, quasi liscia in periferia; di colore beige con nuance olivastre al disco, tendenti a schiarire fino al biancastro in periferia. Margine striato per trasparenza fino a quasi metà raggio. Orlo sottilmente bordato di beige, finemente eroso.
Lamelle libere al gambo, fortemente ventricose, spaziate, “22 lamelle, intercalate da 1-2 lamellule”, inizialmente di colore bianco, quindi rosate, infine rosa-ocraceo. Filo lamellare concolore, finemente forforaceo.
Stipite 16 x 1 mm, cilindrico, base leggermente allargata all’attaccatura con il substrato. Praticamente ialino all’apice, in basso da bianco a biancastro sporco, con tonalità olivastre verso il basso. Striato longitudinalmente, decorato da una fitta forforosità, soprattutto verso il basso, base rivestita da una fitta peluria ispida e ialina.
Carne praticamente inesistente. Odore non manifesto. Sapore non testato.
Sporata, sulle lamelle, rosa.
Quadro microscopico della raccolta
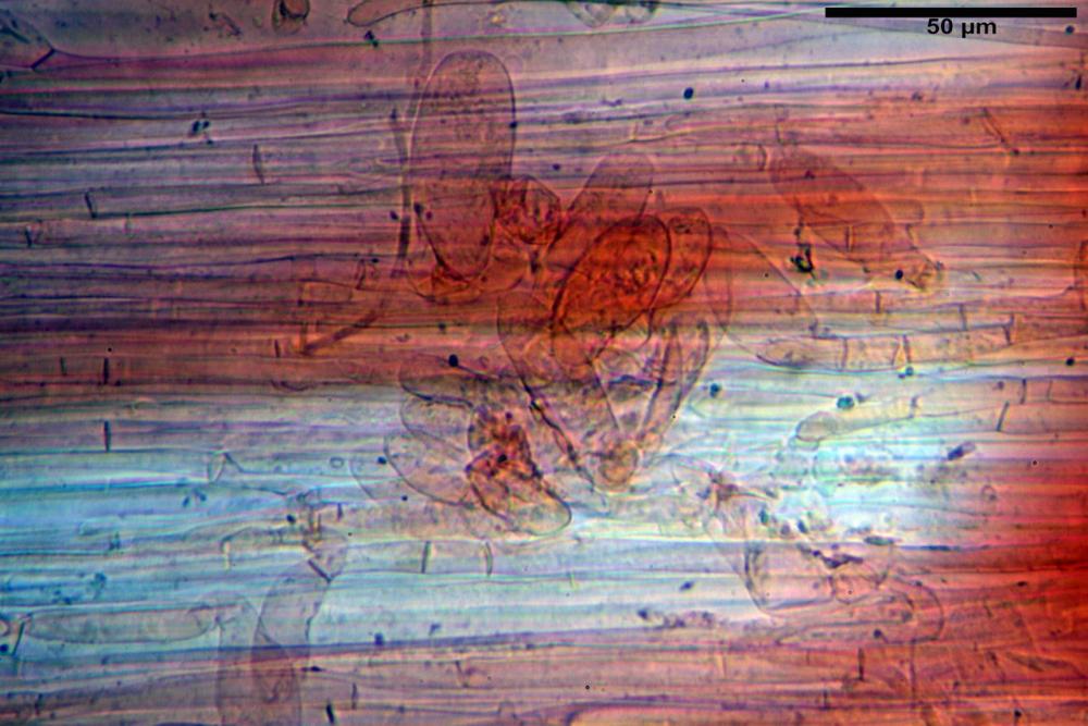
Spore (6,39) 6,76 -7,2 - 7,65 (8,47) x (5,02) 5,50 - 6,02 - 6,46 (7,13) µm; Q. = (1,10) 1,12 - 1,20 - 1,27 (1,36), Vol.= (84,5) 110,66 - 137,8 - 168,5 (215,4) µm³, in proiezione laterale subellissoidi, in proiezione frontale subsferiche, con una o più guttule ialine.
Basidi 17,6 - 22,1 - 31,3 x 7,4 - 8,8 - 10,3 µm; Vol.= 532 - 910 - 1363, claviformi, tozzi, panciuti, tetrasporici.
Cheilocistidi 27,2 - 37,1 - 48,9 x 10,9 - 14,1 - 18,6 µm; Vol.= 1952 – 4110 - 8163 µm³, da strettamente ellissoidi a subutriformi, subfusiformi, più raramente subclaviformi, più o meno peduncolati, a parete sottile, ialini, disposti a folti mazzetti lungo tutto il filo lamellare.
Pleurocistidi 52,7 - 59,5 - 70,8 x 14,0 - 17,1 - 19,7 µm; Vol.= 5505 - 9306 - 13018 µm³, da strettamente utriformi a subfusiformi, fino a sublageniformi con collo ottuso, più o meno peduncolati, con parete rifrangente e grossa guttula centrale in H2O ialini, poco abbondanti.
Pileipellis disposta in cutis, formata da di ife cilindriche, con diametro 4,1 - 4,3 - 11,6 µm, settate, non ristrette ai setti, ialine; terminali tendenti a disporsi in tricoderma 50,7 - 72,9 - 118,7 x 13,8 - 22,6 - 37,7 µm, Vol.= 5500 - 21272 - 57022 µm³, da largamente clavati a subfusiformi, ialini, trombopleurogene abbondantemente presenti nella subcute.
Caulopellis disposta in cutis, formata da ife cilindriche, con diametro 8,4 - 13,1 - 22,3 µm, settate, ialine, terminali con apice assottigliato, tendenti a rialzarsi in un lasco tricoderma. Trombopleurogene abbondantemente presenti.
Caulocistidi 26,9 - 38,4 - 56,7 x 8,7 - 13,0 - 21,4 µm; Vol.= 1119 – 3986 - 11876 µm³, da utriformi a clavati, ialini, nella porzione alta dello stipite e fin quasi la metà, sparsi e poco abbondanti. Caulocistidi nella porzione bassa e fino alla base 35,0 - 43,1 - 60,9 x 9,7 - 15,0 - 22,0 µm; Vol.= 2143 - 5402 - 12983 µm³, da utriformi a clavati, ialini, abbondanti, a folti mazzetti.
Giunti a fibbia assenti in ogni tessuto del basidioma da noi osservato.
Osservazioni
Bellissima e rara specie dalle sembianze coprinoidi per il suo aspetto e fragilità. Nel caso della raccolta in oggetto “un unico basidioma”, il piccolissimo esemplare era in stadio iniziale di crescita e in uno stato perfetto. Il pileo era molto chiaro, quasi bianco, si faticava a notare le tonalità beige, men che meno le nuance olivastre e le lamelle erano ancora bianco candido, quindi, per una descrizione macroscopica dettagliata, ci siamo basati, principalmente, sulle foto macro che abbiamo eseguito in Habitat, presumendo il fatto che, un basidioma così minuto avrebbe avuto poca vita. Infatti, nel breve tragitto di ritorno dal bosco è avvenuta una veloce maturazione con cospicua produzione di spore e di conseguenza le lamelle si sono colorate di un bel color rosa. A questo punto abbiamo effettuato l’exsiccatum.
Nell’indagine microscopica non abbiamo riscontrato i pleurocistidi a contenuto brunastro, citati in bibliografia (Citérin M. et al., 1998) ; (Kühner et al., 1956); (Pérez-De-Gregorio et al., 2009), ma solo con pareti e guttula centrale rifrangenti.
Per la conformazione della pileipellis P. hiatulus Romagn., viene posto nella Sezione Hyspidoderma Fayod, assieme a una pletora di specie, tra le quali, la più vicina è Pluteus plautus (Weinm.) Gillet, (1876) [1878], tanto vicina che diversi Autori, tra i quali (Vellinga et al., 1985), (Breitenbach et al., 1995), i quali ritengono P. hiatulus sinonimo di P. plautus. In attesa di ulteriori sviluppi e studi molecolari, noi riteniamo che le sostanziali differenze tra i due taxa siano sufficienti a mantenerle divise.
Dati di ritrovamento relativi alla raccolta
N. scheda: 5367. Data di ritrovamento: 05/08/2015. Località: Ritomece. Comune: Ilirska Bistrica (SLO). Coordinate geografiche: 45°33'46.25"N 14° 4'28.50"E. Altezza s.l.m.: 550. Habitat: Su rametto morto di Quercus cerris, a terra. Determinatore: Zugna M. Legit: Zugna M. Data inserimento in erbario: 05/08/2015.
Materiali e metodi
Lo studio microscopico è stato eseguito su materiale fresco. I preparati sono stati montati in H2O e, ove necessario, colorati con Rosso Congo Anionico per meglio evidenziare le differenti tipologie cellulari.
Le misure microscopiche sono state eseguite con il software di calcolo Mycométre gentilmente fornitoci dal Sig. Georges Fannechère e prelevabile all’indirizzo http://mycolim.free.fr. Le misure sporali si riferiscono a 100 unità, effettuate in proiezione laterale, ottenute da sporata o prelevate da altre zone non imeniali, scartando dal calcolo le spore ancora evidentemente immature e senza tener conto delle ornamentazioni che, nel caso, si sono misurate a parte. Per i rimanenti elementi cellulari, si sono eseguite un minimo di venti misure per tipologia. Le misure sottolineate si riferiscono alle medie.
Per la terminologia riguardante la tipologia delle caratteristiche macro e microscopiche, si fa riferimento a Else C. Vellinga 1998: (Flora Agaricina Neerlandica 1- Chapter 8; Glossary).
Per quanto riguarda la nomenclatura aggiornata e gli Autori delle specie, nella maggior parte dei casi, si è fatto riferimento a Index Fungorum http://www.indexfungorum.org/ e http://www.mycobank.org/MycoTaxo.aspx .
Per le osservazioni dei caratteri macroscopici, in alcuni casi, ci siamo valsi di uno stereo microscopio Optech trinoculare e del supporto di foto macro ad alta risoluzione. Le foto macro sono eseguite in habitat e/o, se necessario, in studio, con l’ausilio di una fotocamera Reflex EOS 5D Mark II + obiettivo Canon EF 100mm f/2.8 Macro USM. Le foto concernenti la microscopia, sono state eseguite con l’ausilio di una fotocamera Reflex EOS 50D, posto sul terzo occhio del trinoculare di un microscopio biologico Optech Biostar B5, supportato da ottiche Plan-APO, illuminazione alogena 12V-50 W a luce riflessa con regolatore d'intensità. Le collezioni conservate sono depositate presso l'erbario A.M.B. Gruppo di Muggia e del Carso con i numeri riportati di seguito al binomio nel paragrafo dei dati delle raccolte.
Bibliografia citata
Breitenbach J. & G. F.Kränzlin, (1995). Champignons de Suisse. Tome 4. Champignons à lames 2ème partie.
Citérin M. & G. Eyssartier, (1998). Cle Analitique du Genre Pluteus Fr. Documents Mycologiques – Tome XXVIII – Fascicule n° 111: 47-67.
Kühner R. & H. Romagnesi (1956). Compléments à la “ Flore analytique ” VIII. Bull. Soc. Mycol. Fr., 72(3): 215-218.
Pérez-De-Gregorio M.À., J. Carbó & C. Roqué (2009). Algunos hongos interesantes de Girona. Funghi non delineati: Pars XLIV- Candusso edizioni. Alassio (SV).
Vellinga E.C. & J. Schreurs (1985). Notulae ad Floram agaricinam neerlandicam - VIII. Pluteus Fr. in West Europe. Persoonia Vol. 12, Part 4, pp. 337-373.
Bibliografia consultata
Cetto B., (1989). I funghi dal vero. Vol. 6 (Saturnia Ed. - I Trento).
Justo A., M.L. Castro & A. Caballero, (2005). Los géneros Pluteus y Volvariella (Basidiomycota, Fungi) en la Rioja (España). Revista Catalana de Micologia, vol. 27: 75-84; 2005.
Justo A. & M.L. Castro, 2007a. Observations in Pluteus section Pluteus in Spain: two new records for Europe. Mycotaxon. Volume 102, pp. 209-220.
Justo A., M.L. Castro, N. Rodríguez-Ramos & F. Infante, (2007). La familia Pluteaceae (Basidiomycetes) en la provincia de Sevilla (España); comentarios corológicos y taxonómicos. Acta Bot. Malacitana 32.
Justo, A. & M. L. Castro, (2007). An annotated checklist of Pluteus in the Iberian Peninsula and Balearic Islands. Mycotaxon 102: 231-234.
Justo A. et al. (2010). Phylogeny of the Pluteaceae (Agaricales, Basidiomycota): taxonomy and character evolution, Fungal Biology.
Justo A., A.M. Minnis, S. Ghignone, N. Menolli Jr., M. Capelari, O. Rodríguez, E. Malysheva, M. Contu & A. Vizzini, (2011). Species recognition in Pluteus and Volvopluteus (Pluteaceae, Agaricales): morphology, geography and phylogeny. Mycol Progress (2011) 10:453–479.
Kibby G., A. Burnham & A. Henrici (2010). Some problems in the genus Pluteus. Field Mycology, vol. 11(3): 93-100.
Orton, P.D. 1984. British Fungus Flora. Agarics and Boleti 4. Pluteaceae: Pluteus and Volvariella.
Romagnesi H. (1953). Flore analytique des champignons supérieurs. Masson et co., Paris, 557p.
Vellinga, E.C. (1990). Pluteaceae Kotl & P. in Bas et al. (1990). Flora Agaricina Neerlandica. Vol. 2: 31-55.


Questa discussione è bloccata























































